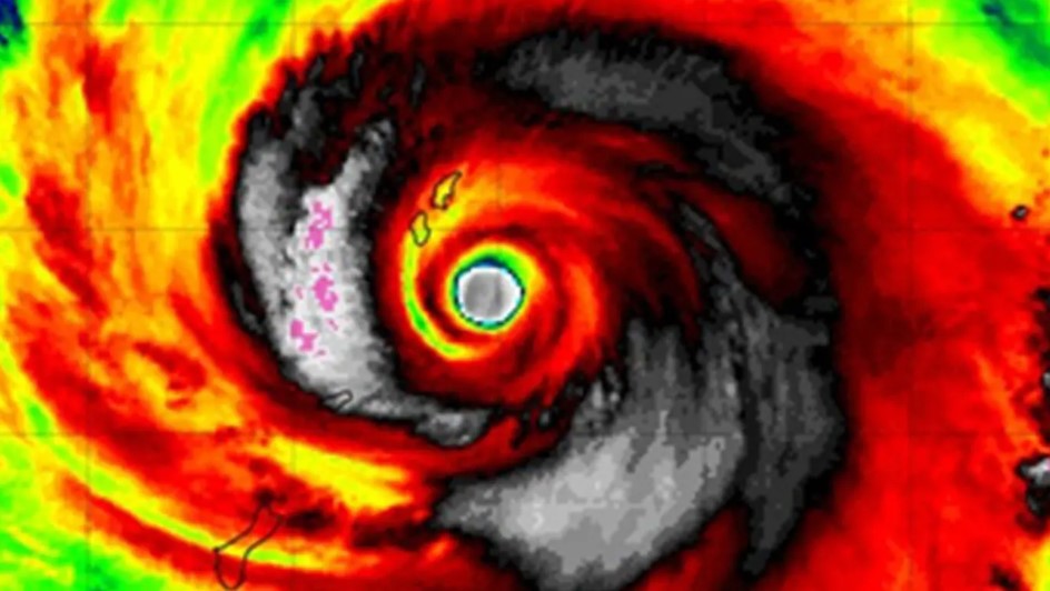
O supertufão Sinlaku, que se formou no Oceano Pacífico com intensidade equivalente à categoria 5 de furacão em pouco mais de um dia, avança sobre águas excepcionalmente quentes e surge como um forte indicativo de que um episódio de El Niño está se aproximando e pode ser intenso.

As temperaturas da superfície do mar na região onde o tufão atua estão muito acima da média, fornecendo grande quantidade de energia para o ciclone tropical. Esse calor excessivo permitiu que Sinlaku passasse por uma intensificação explosiva, alcançando níveis extremos de força.
Embora o supertufão não represente qualquer risco direto ao Brasil por estar localizado do outro lado do mundo, as condições oceânicas que favoreceram seu desenvolvimento são consideradas um prenúncio claro de El Niño. O cenário de aquecimento no Pacífico Oeste faz parte de uma reorganização maior do sistema climático típica dos períodos que antecedem o fenômeno.
À medida que o El Niño se desenvolve, ocorre uma redistribuição de calor no oceano que altera a circulação atmosférica global. No Brasil, isso costuma trazer excesso de chuva, riscos de enchentes e muitos temporais na Região Sul, além de intensas ondas de calor no Centro-Oeste e no Sudeste.
A presença de uma grande “piscina” de águas quentes no Pacífico Oeste, próxima à Indonésia e à Austrália, é um dos principais preditores do fenômeno. Durante a La Niña, os ventos alísios se intensificam e empurram ainda mais água quente para essa região. Quando esses ventos enfraquecem ou ocorrem “estouros de vento de Oeste”, a água quente acumulada se desloca para o centro e leste do Pacífico por meio de ondas de Kelvin, marcando o início do El Niño.
O supertufão Sinlaku surge em um momento em que a temporada de ciclones no Pacífico tende a ser mais ativa do que o normal, especialmente em anos de El Niño. Sua formação mais cedo e mais intensa do que o habitual reforça o sinal de que o estoque de águas quentes no Pacífico está pronto para desencadear o fenômeno.
El Niño e La Niña são fases opostas do mesmo ciclo climático. No El Niño, as águas da superfície do Pacífico Equatorial ficam mais quentes que a média e os ventos de Leste sopram mais fracos. Na La Niña, ocorre o contrário: águas mais frias e ventos de Leste mais fortes. Os episódios de El Niño ocorrem, em média, a cada 3 a 5 anos.
No Sul do Brasil, o El Niño aumenta o risco de chuva excessiva e enchentes, enquanto a La Niña eleva a probabilidade de estiagem. Historicamente, as melhores safras agrícolas no Sul costumam ocorrer em anos de El Niño, embora nem sempre, enquanto as perdas de produtividade são maiores durante a La Niña. No Nordeste, o El Niño agrava o risco de seca, ao passo que a La Niña traz mais chuva para a região.
O nome “El Niño” surgiu no século XIX, quando pescadores peruanos notavam que uma corrente oceânica quente aparecia próximo ao Natal, reduzindo drasticamente a captura de peixes. Em espanhol, “El Niño” significa “o menino”, em referência ao nascimento de Cristo. A pesca na região é mais produtiva durante a La Niña, quando a ressurgência de água fria traz nutrientes do fundo do oceano.
Especialistas acompanham de perto a evolução do supertufão Sinlaku e das temperaturas no Pacífico, pois o desenvolvimento de um El Niño forte pode trazer impactos significativos no clima brasileiro ao longo dos próximos meses, com consequências diretas para agricultura, segurança hídrica e população em várias regiões do país.
Com informações do portal MetSul.